InicioESTADOUna semana sin lluvias y altas temperaturas, se pronostica para Aguascalientes

Una semana sin lluvias y altas temperaturas, se pronostica para Aguascalientes

Published on

Hasta el momento, según el pronóstico del Sistema Meteorológico Nacional, se viene una semana completa sin lluvias para Aguascalientes.

Pero además de ello, se registrará un aumento en las temperaturas, las mínimas se esperan de 14 grados y las máximas de hasta 32 grados, muy por encima de la semana anterior.

Para este sábado 3 de agosto y domingo 4 de agosto, se pronostican en el estado rachas fuertes de viento.

Será el martes 13 de agosto cuando se registren las temperaturas más altas, y no obstante algunos días habrá nublados parciales, no hay posibilidad de precipitaciones pluviales para la entidad del 3 de agosto hasta el 10 de agosto.

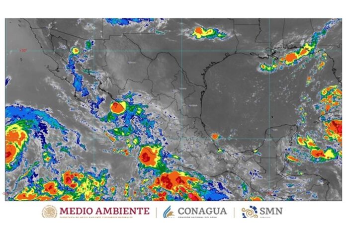
Por otro lado, el Huracán Carlotta Categoría continúa en categoría 1 y se acerca a las costas de Baja California, por lo que impactará con fuertes lluvias y vientos, únicamente al norte del país.

Este es el pronóstico para este sábado para el resto del país:

Hoy, una zona de baja presión con 60 por ciento de probabilidad para desarrollar un ciclón tropical en 48 horas, que se localiza en el océano Pacífico, a 570 kilómetros (km) al sur-suroeste de Punta Maldonado, Guerrero, ocasionará lluvias muy fuertes (de 50 a 75 milímetros [mm]) en Chiapas, Guerrero, Michoacán, Oaxaca, Tabasco y Veracruz; viento con rachas de 50 a 70 kilómetros por hora (km/h) en el istmo de Tehuantepec y oleaje de 1 a 2 metros (m) de altura en costas de Guerrero, Michoacán y Oaxaca. 

El monzón mexicano, canales de baja presión sobre el norte, occidente, oriente y centro de México, inestabilidad en niveles altos de la atmósfera y el ingreso de humedad de ambos océanos generarán lluvias muy fuertes en Jalisco; fuertes (de 25 a 50 mm) en Campeche, Ciudad de México, Colima, Estado de México, Morelos, Nayarit, Puebla, Quintana Roo, Sinaloa, Sonora y Yucatán; chubascos (de 5 a 25 mm) en Baja California, Baja California Sur, Chihuahua, Durango, Guanajuato, Hidalgo, Querétaro, Tlaxcala y Zacatecas, así como lluvias aisladas (de 0.1 a 5 mm) en Coahuila, Nuevo León, San Luis Potosí y Tamaulipas.

Las lluvias pronosticadas para este día pueden ser con descargas eléctricas y caída de granizo.

Las precipitaciones de fuertes a muy fuertes podrían generar deslaves, incremento en niveles de ríos y arroyos, así como desbordamientos e inundaciones en zonas bajas, por lo que se exhorta a la población a atender los avisos del Servicio Meteorológico Nacional (SMN), de la Comisión Nacional del Agua (Conagua), y seguir las recomendaciones de Protección Civil.

Asimismo, se pronostica viento con rachas de 40 a 60 km/h en Aguascalientes, Baja California, Baja California Sur, Chihuahua, Ciudad de México, Coahuila, Durango, Estado de México, Guanajuato, Hidalgo, Jalisco, Nuevo León, Oaxaca, Puebla, Querétaro, San Luis Potosí, Tamaulipas, Tlaxcala y Zacatecas.

Habrá ambiente de caluroso a muy caluroso en la península de Yucatán y el noroeste, norte y noreste de la República Mexicana.

Se prevén temperaturas máximas de 40 a 45 grados Celsius en Baja California, Coahuila y Sonora; de 35 a 40 grados en Baja California Sur, Campeche, Chihuahua, Durango, Nayarit, Nuevo León, Quintana Roo, Sinaloa, Tabasco, Tamaulipas y Yucatán, y de 30 a 35 grados en Chiapas, Colima, Guerrero, Jalisco, Michoacán, Morelos, Oaxaca, el suroeste de Puebla, San Luis Potosí, Veracruz y Zacatecas.

Respecto al huracán Carlotta, esta mañana permanece como categoría 1 en la escala Saffir-Simpson, a una distancia de mil 35 km al oeste-suroeste de Cabo San Lucas, Baja California Sur, con vientos máximos sostenidos de 150 km/h, rachas de 185 km/h y desplazamiento hacia el oeste a 22 km/h.

En el Caribe, la depresión tropical Cuatro se localiza a 135 km al sur-sureste de Varadero, Cuba, y a 640 km al este de Cancún, Quintana Roo. Tiene vientos máximos sostenidos de 45 km/h, rachas de 65 km/h y desplazamiento hacia el oeste-noroeste a 26 km/h.

Debido a su distancia y trayectoria, ambos ciclones tropicales no representan riesgo para nuestro país.

Pronóstico por regiones

Para el Valle de México se pronostica cielo medio nublado, ambiente de fresco a templado y bancos de niebla en zonas altas durante la mañana. Por la tarde habrá cielo nublado, ambiente cálido, descargas eléctricas y posible caída de granizo en zonas con lluvia. Se prevé viento del norte y noreste de 10 a 25 km/h y rachas de hasta 45 km/h. Para la Ciudad de México, se prevé temperatura máxima de 23 a 25 grados Celsius; mientras que, en Toluca, Estado de México, será de 20 a 22 grados.

En la península de Baja California se prevé cielo medio nublado, ambiente cálido por la mañana, de cálido a caluroso en la tarde, y muy caluroso en el norte de Baja California. Se prevén descargas eléctricas en zonas con lluvia y viento del noroeste de 15 a 30 km/h con rachas de 40 a 60 km/h.

Las previsiones meteorológicas en el Pacífico Norte serán de cielo medio nublado con ambiente templado durante la mañana, y fresco en zonas serranas. Hacia la tarde se prevé cielo nublado, descargas eléctricas y posible caída de granizo en zonas con lluvia, así como ambiente de cálido a caluroso en la región, y muy caluroso en el norte de Sonora. Habrá viento de componente oeste de 15 a 30 km/h, con rachas de 50 a 70 km/h en Sonora.

En el Pacífico Centro se prevé, por la mañana, cielo medio nublado, ambiente fresco, templado en zonas costeras y bancos de niebla en sierras de Jalisco y Michoacán. Hacia la tarde, el cielo será nublado con ambiente de cálido a caluroso, descargas eléctricas y posible caída de granizo en zonas con lluvia. Se espera viento de dirección variable de 15 a 30 km/h, rachas de 50 a 70 km/h y oleaje de 1 a 2 m de altura en costas de Michoacán.

Para el Pacífico Sur se pronostica cielo nublado, ambiente matutino fresco, templado en zonas costeras y bancos de niebla en zonas de Chiapas y Oaxaca. Se espera ambiente de cálido a caluroso durante la tarde, descargas eléctricas y posible caída de granizo en zonas con lluvia. Se prevé viento de dirección variable de 15 a 30 km/h, rachas de 50 a 70 km/h en el istmo de Tehuantepec y oleaje de 1 a 2 m en costas de Guerrero y Oaxaca.

El tiempo atmosférico en los estados de la vertiente del golfo de México será con ambiente templado por la mañana, y fresco con bancos de niebla en zonas altas. En la tarde habrá cielo nublado, descargas eléctricas y posible caída de granizo en zonas con lluvia. Se prevé viento de componente este de 10 a 25 km/h y rachas de 40 a 60 km/h en Tamaulipas y Veracruz.

En la península de Yucatán se prevé cielo medio nublado y ambiente templado por la mañana, así como cielo nublado, ambiente cálido, descargas eléctricas y posible caída de granizo en zonas con lluvia durante la tarde. El viento será del norte y noreste de 10 a 25 km/h con rachas de hasta 30 km/h.

Para los estados de la mesa del Norte se pronostica cielo medio nublado con ambiente templado en la mañana, y fresco en zonas serranas. Durante la tarde el cielo será nublado con descargas eléctricas, posible caída de granizo en zonas con lluvia, ambiente de cálido a caluroso en la región, y muy caluroso en Coahuila. Se prevé viento de componente este de 15 a 30 km/h con rachas de 40 a 60 km/h.

Las condiciones del tiempo para las entidades de la mesa Central serán de cielo medio nublado y bancos de niebla en zonas serranas por la mañana, ambiente matutino fresco, y frío en zonas altas de Hidalgo, Puebla y Tlaxcala. Se prevé ambiente vespertino de templado a cálido, y cálido en zonas de Morelos y el suroeste de Puebla. El viento será de componente este de 15 a 30 km/h con rachas de 40 a 60 km/h en Guanajuato, Hidalgo, Puebla, Querétaro y Tlaxcala. Las zonas con lluvia se acompañarán de descargas eléctricas y posible caída de granizo.

Latest articles

Detienen en Aguascalientes a banda que se dedicaba a vender vehículos y no los entregaban

POLICÍAS ESTATALES DETIENEN A CINCO PERSONAS ACUSADAS POR LOS DELITOS DE AMENAZAS Y COHECHO,...

¡Primer detenido en la zona ferial!

EN EL MARCO DEL OPERATIVO "FERIA SEGURA 2026" UNIFORMADOS DE POLICÍA ESTATAL DETIENEN A...

Reunirá FNSM a los mejores arqueros del mundo

Todo está listo para que Aguascalientes vuelva a colocarse en la mira con el...

Descubre Aguascalientes: sabor, historia y magia en cada rincón

Por: Alan Palafox Porter Si vienes a Aguascalientes, prepárate para enamorarte. Este estado te recibe...

More like this

Detienen en Aguascalientes a banda que se dedicaba a vender vehículos y no los entregaban

POLICÍAS ESTATALES DETIENEN A CINCO PERSONAS ACUSADAS POR LOS DELITOS DE AMENAZAS Y COHECHO,...

¡Primer detenido en la zona ferial!

EN EL MARCO DEL OPERATIVO "FERIA SEGURA 2026" UNIFORMADOS DE POLICÍA ESTATAL DETIENEN A...

Reunirá FNSM a los mejores arqueros del mundo

Todo está listo para que Aguascalientes vuelva a colocarse en la mira con el...