Icono del sitio Metropolitano

¡Importante! Se pronostica fuerte tormenta eléctrica en unas horas

Para este día se pronostican lluvias puntuales intensas (de 75 a 150 milímetros [mm]) en regiones de Colima, Guerrero, Jalisco y Michoacán; muy fuertes (50 a 75 mm) en zonas de Aguascalientes, Chiapas, Guanajuato, Hidalgo, Nayarit, Oaxaca, Puebla, Querétaro, San Luis Potosí, Veracruz y Zacatecas; fuertes (de 25 a 50 mm) en áreas de la Ciudad de México, Estado de México y Tabasco; intervalos de chubascos (de 5 a 25 mm) en Campeche, Morelos, Nuevo León, Quintana Roo, Sinaloa, Tamaulipas, Tlaxcala y Yucatán, así como lluvias aisladas (de 0.1 a 5 mm) en Durango. Las lluvias podrán estar acompañadas de descargas eléctricas, rachas fuertes de viento y caída de granizo.

Las precipitaciones de mayor intensidad podrían generar deslaves, incremento en niveles de ríos y arroyos, así como desbordamientos e inundaciones en zonas bajas de los estados mencionados, por lo que se exhorta a la población a atender los avisos del Servicio Meteorológico Nacional (SMN), de la Comisión Nacional del Agua (Conagua), y seguir las recomendaciones de Protección Civil.

Por otra parte, se prevén rachas de viento de 50 a 70 kilómetros por hora (km/h) en Baja California y Baja California Sur, y rachas de 40 a 60 km/h en Chihuahua, Coahuila, Guerrero, Sonora y Veracruz, con posibles tolvaneras en Durango, así como oleaje de 1 a 3 metros (m) de altura en Colima, Jalisco y Michoacán.

Las condiciones descritas serán generadas por la onda tropical número 21 que será absorbida por la circulación de una zona de baja presión con probabilidad para desarrollo ciclónico, la cual continuará intensificándose frente a las costas del Pacífico central mexicano; el ingreso de aire húmedo proveniente del océano Pacífico, el golfo de México y el mar Caribe, inestabilidad en niveles medios y altos de la atmósfera, un canal de baja presión que se ubicará sobre la mesa del Norte, el monzón mexicano y una nueva onda tropical que se aproximará al oriente de la península de Yucatán.

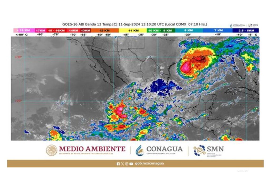
Esta mañana, la zona de baja presión en el océano Pacífico se localizó a 250 kilómetros (km) al sur-suroeste de Manzanillo, Colima; presenta 50 % de probabilidad de desarrollo ciclónico en el pronóstico a 48 horas, y mantiene 60 % en las previsiones a siete días. Se desplaza hacia el nor-noroeste.

El ciclón tropical Francine situado en el norte del golfo de México, durante el transcurso del día ingresará sobre el sureste de Estados Unidos de América, sin representar peligro para la República Mexicana. A las 06:00 horas, tiempo del centro de México, se localizó aproximadamente a 420 km al este-noreste de la desembocadura de río Grande, frontera de México con Estados Unidos de América, y a 450 km al noreste de Barra El Mezquital, Tamaulipas; presenta vientos máximos sostenidos de 150 km/h, rachas de 185 km/h y desplazamiento hacia el noreste a 19 km/h.

Se prevén temperaturas mínimas al amanecer de 0 a 5 grados Celsius en zonas altas de Chihuahua y Durango.

En contraste, se pronostican temperaturas máximas de 40 a 45 grados en Baja California, Baja California Sur, Sinaloa y Sonora; de 35 a 40 grados en Campeche, Nuevo León, Quintana Roo, Tamaulipas y Yucatán, y de 30 a 35 grados en Chiapas, Chihuahua, Coahuila, Colima, Durango, Guerrero, Nayarit, Oaxaca, Puebla, San Luis Potosí, Tabasco y Veracruz.

Se recomienda a la población tomar medidas preventivas como evitar la exposición prolongada a la radiación solar, hidratarse adecuadamente, poner especial atención a enfermos crónicos, niños y adultos mayores, así como atender las indicaciones del Sector Salud y de Protección Civil.

Pronóstico por regiones

Para el Valle de México se pronostica cielo nublado durante el día, ambiente matutino fresco, y frío con bancos de niebla en zonas altas; por la tarde, ambiente de templado a cálido, descargas eléctricas y caída de granizo en zonas de lluvia, así como viento de dirección variable de 10 a 20 km/h con rachas de 30 a 40 km/h. En la Ciudad de México se prevé temperatura mínima de 13 a 15 grados Celsius y máxima de 24 a 26 grados, y en Toluca, Estado de México, mínima de 9 a 11 grados y máxima de 21 a 23 grados.

En la península de Baja California se prevé por la mañana, cielo con nubes dispersas, ambiente templado, y fresco con bancos de niebla en la costa occidental; hacia la tarde, ambiente de caluroso a muy caluroso, cielo medio nublado y viento del noroeste de 10 a 25 km/h en la región, con rachas de 50 a 70 km/h en zonas de Baja California y Baja California Sur.

Las previsiones meteorológicas en el Pacífico Norte son de cielo con nubosidad dispersa y ambiente matutino templado, fresco en las sierras y con bancos de niebla en zonas costeras; ambiente vespertino de cálido a muy caluroso, cielo medio nublado y viento del noroeste de 10 a 25 km/h en la región, con rachas de 40 a 60 km/h en zonas de Sonora.

En el Pacífico Centro se prevé en la mañana, ambiente fresco con bancos de niebla en zonas altas, y templado en zonas costeras; cielo nublado la mayor parte del día, al atardecer, ambiente de templado a cálido, descargas eléctricas y caída de granizo en zonas de lluvia, así como viento de dirección variable de 15 a 30 km/h en la región, con rachas de 40 a 60 km/h y oleaje de 1 a 3 m de altura en costas de en Colima, Jalisco y Michoacán.

Para el Pacífico Sur se pronostica cielo nublado la mayor parte del día, ambiente matutino fresco con bancos de niebla en zonas altas, templado en las costas; por la tarde, ambiente de templado a cálido, descargas eléctricas, caída de granizo en zonas altas, así como viento de dirección variable de 15 a 30 km/h en la región, con rachas de 40 a 60 km/h en costas de Guerrero.

El tiempo atmosférico en los estados de la vertiente del golfo de México será de cielo de medio nublado a nublado en el transcurso del día; por la mañana ambiente templado, fresco con bancos de niebla en zonas serranas y frío en las montañas de Veracruz; hacia la tarde, ambiente de cálido a caluroso, descargas eléctricas, caída de granizo en zonas altas y viento de dirección variable de 15 a 30 km/h en la región, con rachas de 30 a 40 km/h en zonas costeras.

En la península de Yucatán se prevé durante la mañana, cielo medio nublado con bancos de niebla y ambiente templado; al atardecer ambiente de cálido a caluroso, cielo nublado, descargas eléctricas y viento de componente sur de 10 a 20 km/h en la región, con rachas de 30 a 40 km/h en zonas costeras.

Para los estados de la mesa del Norte se pronostica en la mañana, cielo medio nublado, ambiente matutino fresco, y frío con bancos de niebla en zonas serranas; por la tarde, ambiente cálido, de templado a fresco en zonas serranas, cielo nublado, descarga eléctricas y caída de granizo en zonas de lluvia, así como viento de dirección variable de 10 a 25 km/h en la región, con rachas de 40 a 60 km/h en Chihuahua y Coahuila, y con posibles tolvaneras en Durango.

Finalmente, las condiciones del tiempo para las entidades de la mesa Central serán de cielo nublado la mayor parte del día, con bancos de niebla al amanecer en zonas altas, ambiente matutino fresco, y frío en zonas altas de Hidalgo, Puebla y Tlaxcala, por la tarde, ambiente de templado a cálido, descargas eléctricas y caída de granizo en zonas de lluvia, además de viento de dirección variable de 10 a 25 km/h con rachas de 30 a 40 km/h.

Salir de la versión móvil